Why Ant Infestations Keep Returning Without Professional Treatment

Understanding why ant infestations keep returning without professional treatment highlights the importance of local contractors who can identify hidden nests and provide lasting control solutions.

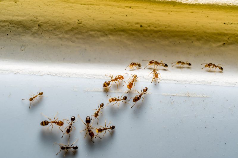
Many property owners find themselves frustrated by ant infestations that keep returning despite repeated efforts to eliminate them. Understanding why ant infestations keep returning without professional treatment can help homeowners and business owners take more effective steps to manage the problem. Common reasons include overlooked entry points, persistent nesting sites, and the ants’ ability to quickly re-establish colonies. Exploring this topic can reveal practical insights into how ants find their way back into spaces and why DIY methods often fall short, especially when nests are hidden deep within walls, soil, or structural voids.

Fortunately, local contractors who specialize in ant infestation control can address these underlying issues more thoroughly. These service providers are equipped to identify hidden nests, seal entry points, and implement targeted solutions that reduce the likelihood of future invasions. By learning about the common reasons ants keep returning, property owners can better understand the value of professional treatment and how it fits into a comprehensive approach to pest management. Keep reading to discover more about the factors that contribute to recurring ant problems and how local experts can help restore peace to your property.

Get Quotes for Ant Infestation Control

  • Ant Infestation Control - local contractors often address underlying nesting sites that cause ant infestations to keep returning.
  • Ant Infestation Control - professionals identify and treat hidden entry points and pathways that allow ants to re-invade a property.
  • Ant Infestation Control - specialists implement ongoing barrier treatments to prevent ants from returning after initial removal.
  • Ant Infestation Control - experienced service providers target persistent colonies deep within walls or underground to eliminate re-infestation sources.
  • Ant Infestation Control - local experts focus on sanitation and structural issues that attract ants, reducing the likelihood of future outbreaks.
Why Ant Infestations Keep Returning Without Professional Treatment
Why Ant Infestations Keep Returning Without Professional Treatment
Why Ant Infestations Keep Returning Without Professional Treatment

Many homeowners searching for information about why ant infestations keep returning without professional treatment are often dealing with persistent pest problems that seem to reappear despite repeated attempts at control. These searches typically relate to ongoing frustrations with ants infiltrating kitchens, bathrooms, or outdoor spaces, and the belief that DIY methods or over-the-counter products are not providing lasting solutions. Such issues are common in homes where ant colonies have established deep underground or within wall voids, making it difficult to completely eliminate the source of the infestation. Understanding the root causes of recurring ant problems is essential for developing effective strategies, and local contractors specializing in ant control can offer targeted solutions that address the specific conditions fostering these pests.

The problems associated with ongoing ant infestations often connect to the structure of the property itself. Homes with accessible entry points-such as gaps around windows, doors, or utility lines-allow ants to continually find their way inside. Properties with poor sanitation or food debris left out also attract foraging ants, encouraging colonies to persist nearby. Additionally, outdoor areas like gardens, mulch beds, or compost piles can serve as breeding grounds, providing a constant supply of resources for ant colonies. When homeowners attempt to treat these issues without professional help, they may only disrupt the ants temporarily, leaving the colony intact underground or within hidden spaces, which allows the infestation to return over time.

The types of properties commonly affected by this issue include single-family homes, townhouses, and multi-unit apartment buildings. Residential properties with yards or landscaped areas are particularly vulnerable because outdoor environments often harbor ant nests close to the foundation. Commercial properties, such as restaurants or food storage facilities, can also experience persistent ant problems if sanitation and entry points are not thoroughly managed. In many cases, properties with cracks, crevices, or poorly sealed areas provide easy access for ants, making it difficult for homeowners to keep the pests out without professional intervention. Local service providers are equipped to assess these property types and implement integrated pest management strategies that target both indoor and outdoor nesting sites.

Understanding why ant infestations keep returning without professional treatment highlights the importance of comprehensive approaches that go beyond simple DIY solutions. Local ant control contractors bring specialized knowledge and tools to identify the exact locations of nests and entry points, which are often hidden or difficult to detect. They can provide tailored treatment plans that include baiting, barrier treatments, and property sealing to prevent re-infestation. For homeowners facing ongoing ant problems, connecting with experienced local pros can make a significant difference in achieving long-term relief. Proper inspection and targeted treatment are key to breaking the cycle of recurring ant infestations and maintaining a pest-free environment.

Pest Inspection Services - Professionals skilled in identifying underlying causes of infestations can help determine why ant problems persist and recommend targeted solutions.

Home Inspection Projects - Home inspectors working with local contractors can assess structural vulnerabilities that allow ants to re-enter and establish colonies.

Exclusion and Barrier Installation - Local service providers can implement physical barriers to prevent ants from accessing indoor spaces, addressing recurring infestations.

Moisture Control Solutions - Contractors specializing in moisture management can eliminate water sources that attract ants, reducing the likelihood of return visits.

Structural Repair Projects - Fixing cracks, gaps, and entry points in building foundations or walls helps prevent ants from re-establishing colonies indoors.

Sanitation and Cleanup Services - Proper sanitation by local pros reduces attractants and food sources that contribute to ongoing ant problems.

Why Ant Infestations Keep Returning Without Professional Treatment

When comparing service providers for ant infestation control, it is important to consider their experience with similar projects. Homeowners should seek out local contractors who have a proven track record of effectively addressing ant infestations and preventing their return. An experienced professional will understand the common reasons why ant infestations keep returning without professional treatment and be able to identify underlying issues such as access points, nesting sites, or environmental factors that contribute to recurring problems. This knowledge helps ensure that the chosen service provider can develop a comprehensive approach tailored to the specific situation, reducing the likelihood of the problem persisting or recurring.

Clear written expectations are essential when evaluating local contractors for ant control services. Homeowners should look for providers who can offer detailed explanations of their recommended methods, the scope of work, and what results they can reasonably expect. Having a transparent plan helps prevent misunderstandings and ensures that both parties are aligned on the approach to eliminate the infestation and address factors that lead to its return. A reputable service provider will communicate openly about their process, answer questions thoroughly, and provide guidance on steps homeowners can take to support the treatment process, fostering a collaborative effort to achieve lasting results.

Reputable references and good communication are key factors in selecting a reliable local contractor for ant infestation control. Homeowners are encouraged to ask for references or reviews from previous clients who had similar issues. This feedback can provide insights into the contractor’s ability to resolve persistent ant problems and their level of professionalism. Additionally, effective communication throughout the process helps ensure that homeowners stay informed about progress, potential challenges, and follow-up recommendations. Choosing a service provider who demonstrates responsiveness and clarity can lead to a more positive experience and increase the chances of successfully controlling and preventing future ant infestations.

Get a Quote for Ant Infestation Control

Property owners often search for why ant infestations keep returning without professional treatment when they are planning practical projects around their homes and businesses. Local pros provide Ant Infestation Control services for everyday jobs and straightforward project options.

Why Ant Infestations Keep Returning Without Professional Treatment
Why Ant Infestations Keep Returning Without Professional Treatment

Ant infestations tend to keep returning without professional treatment because ants establish extensive colonies that are difficult to eliminate completely with DIY methods. Common household issues such as leftover food crumbs, sugary spills, or accessible water sources can attract ants and provide them with the resources they need to thrive and rebuild. Property owners often find that despite initial efforts to remove visible ants, the colony's hidden parts-like nests in wall voids, beneath flooring, or outside in soil-remain undisturbed, allowing the pests to reappear over time.

Additionally, structural and environmental factors contribute to persistent ant problems. Cracks in foundations, gaps around windows and doors, and cluttered yard spaces can serve as entry points and nesting sites. Without a thorough treatment that targets the entire colony and addresses these access points, ant infestations are likely to recur. Local contractors experienced in ant control can identify these hidden sources and implement comprehensive solutions, helping property owners break the cycle of recurring ant problems effectively.

Get a Quote for Ant Infestation Control

Why do ant infestations keep returning even after cleaning? Ant infestations may persist because ants often establish hidden colonies deep within walls, soil, or other hard-to-reach areas. Local contractors can identify and treat these hidden nests to prevent recurring issues.

How does ignoring the source of the ant problem cause it to return? Ignoring the source allows ants to continually find ways back into the property, especially if their nesting sites remain untreated. Professional ant control services can locate and eliminate these sources to break the cycle.

Can weather or seasonal changes cause ant infestations to return? Yes, changes in weather or seasons can trigger ants to become more active and seek shelter indoors. Local service providers can implement targeted treatments to address these seasonal patterns and prevent re-infestation.

Why do ant infestations often come back after DIY treatments? DIY treatments may only target visible ants and fail to eliminate hidden colonies or nests. Experienced local contractors use comprehensive approaches to ensure all colonies are addressed, reducing the chance of return.

What role do property conditions play in recurring ant problems? Conditions like moisture, cracks, and clutter provide ideal environments for ants to nest and thrive. Local pros can advise on property modifications and treatments to eliminate these attractants and prevent future infestations.

Identifying Hidden Entry Points - Local contractors can help locate small cracks and gaps around windows, doors, and foundations that ants use to enter, allowing property owners to seal these openings effectively.

Removing Food and Water Sources - Practical steps include eliminating accessible food debris and fixing leaks, which reduces attractants and discourages ants from returning.

Implementing Barrier Treatments - Ant control services can apply residual barriers around the property perimeter to create a physical and chemical obstacle that prevents re-infestation.

Maintaining Yard and Landscaping - Regularly trimming plants, removing debris, and managing mulch can disrupt ant trails and nesting sites, supporting ongoing control efforts by local service providers.

Why Ant Infestations Keep Returning Without Professional Treatment

If you are thinking about why ant infestations keep returning without professional treatment for a property, this guide is meant to help you understand this topic, the typical project types, and how different options might fit your plans.

When you are ready, you can use the quote form on this page to share a few details about your project. From there, local pros can review the basics and follow up with options that match what you have in mind.

Get a Quote for Ant Infestation Control

Ant Infestation Control Quotes

Our Trusted Partners
Cantu Pest Control
Orkin
Hawx Pest Control