Local Service Overview

Get Ants Extermination Service in Alvarado, TX

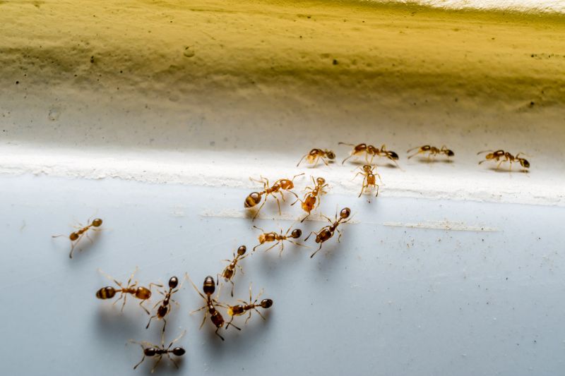
Ants extermination services for property owners in Alvarado, TX, address ant infestations, prevent future invasions, and handle residential and commercial ant control projects.

Alvarado, TX

Ants extermination services in Alvarado, TX, address a common concern for property owners seeking to maintain a comfortable and safe environment. By effectively reducing ant populations, these services help prevent potential damage to structures and belongings, while also minimizing the risk of ant-borne health issues. Property owners often pursue professional extermination to ensure their homes and businesses remain functional and free from pests that can disrupt daily routines and compromise overall safety.

Choosing expert ant control solutions can also enhance curb appeal and reduce ongoing maintenance needs. A pest-free property looks more inviting and well-maintained, which can be especially important for homes and commercial spaces alike. Additionally, professional services typically offer durable results, helping property owners enjoy long-lasting protection against future ant invasions and the associated inconveniences.

Get Ants Extermination Service Quotes

  • Ants Extermination Services are needed when homeowners notice ant trails or nests inside or around their property in Alvarado, TX and nearby areas.
  • Residential properties experiencing persistent ant infestations may require professional extermination services to eliminate the problem.
  • Businesses facing ant issues in commercial spaces can benefit from targeted ant control solutions provided by local service providers.
  • Properties with ant activity near food preparation or storage areas should seek expert extermination to prevent contamination.
  • In cases where ant colonies have established outdoors, professional treatment can help manage and prevent future invasions.

Get Ants Extermination Service Quotes

Ants Extermination Service
Ants Extermination Service
Ants Extermination Service

Ants extermination services focus on identifying and eliminating ant infestations within residential, commercial, and industrial properties. These services typically involve thorough inspections to determine the extent of the ant problem, followed by targeted treatment methods to eradicate colonies and prevent future invasions. Service providers may use a variety of techniques, including baiting, liquid treatments, and dust applications, to effectively eliminate ants and reduce the likelihood of re-infestation. The goal is to create an environment that is inhospitable to ants, helping property owners regain control over their spaces.

Ant problems can lead to a range of issues, from nuisance and inconvenience to potential property damage. Certain ant species, such as carpenter ants, can cause structural damage by excavating wood to establish nests. Other ants, like fire ants, pose health risks through painful stings and allergic reactions. Additionally, ants can contaminate food supplies and surfaces, creating hygiene concerns in kitchens and food storage areas. Extermination services are designed to address these problems by removing active colonies and implementing preventative measures to keep properties ant-free.

These services are commonly used on various property types, including single-family homes, apartment complexes, restaurants, and commercial warehouses. Residential properties often seek ant extermination to protect food storage and maintain comfort. Commercial establishments, especially those involved in food preparation and handling, prioritize pest control to meet health standards and ensure a safe environment for employees and customers. Larger properties, such as industrial facilities and office buildings, may also require ongoing pest management plans to address potential ant issues and prevent outbreaks.

Professional ant extermination services are tailored to the specific needs of each property, considering factors such as property size, location, and the severity of the infestation. Service providers typically develop customized treatment plans designed to target the particular ant species present and to address common entry points like door thresholds, foundation cracks, and utility lines. Regular inspections and follow-up treatments may be recommended to maintain a pest-free environment. Contacting local pest control professionals can provide the expertise needed to effectively manage and prevent ant problems across different property types.

The overview below groups typical Ants Extermination Service projects into broad ranges so you can see how smaller, mid-sized, and larger jobs often compare in Alvarado, TX.

In many markets, a large share of routine jobs stays in the lower and middle ranges, while only a smaller percentage of projects moves into the highest bands when the work is more complex or site conditions are harder than average.

Initial Inspection - The cost for an ant inspection typically ranges from $50 to $150, depending on the size of the property and the complexity of the infestation. Some providers may charge a flat fee or include it with treatment services.

Basic Treatment - Standard ant extermination services usually cost between $100 and $300 for a single treatment. Prices can vary based on the extent of the infestation and the treatment method used.

Multiple Treatments - For ongoing or severe ant problems, multiple treatments might be necessary, with costs ranging from $200 to $500 or more. Some service providers offer packages for repeat visits.

Area Coverage - Costs may vary depending on the size of the area to be treated, with prices typically between $0.50 and $2.00 per square foot. Larger properties or difficult-to-access locations may incur higher charges.

Actual totals will depend on details like access to the work area, the scope of the project, and the materials selected, so use these as general starting points rather than exact figures.

Get an Ants Extermination Service Quote

Ants Extermination - Local pest control providers offer targeted treatments to effectively eliminate ant colonies from residential and commercial properties in Alvarado, TX. They utilize proven methods to address different types of ants and prevent future infestations.

Ants Prevention Services - Service providers can implement preventative measures to reduce the likelihood of ant invasions, including sealing entry points and advising on sanitation practices around properties in Alvarado, TX.

Residential Ant Control - Professionals specialize in treating homes to remove ant nests and trails, ensuring a safe and pest-free living environment for residents in Alvarado and nearby areas.

Commercial Ant Extermination - Local experts provide commercial pest management solutions tailored to businesses, helping to maintain a pest-free workspace in Alvarado, TX.

Emergency Ant Pest Removal - Rapid response services are available from local providers for urgent ant infestations that require immediate attention in Alvarado, TX.

Natural Ant Control Options - Some service providers offer natural or chemical-free solutions for clients seeking eco-friendly pest management options in Alvarado and surrounding communities.

Ants Extermination Service

When selecting a professional for ant extermination services, experience is a key factor to consider. Homeowners should look for local providers who have a proven track record in handling ant infestations within the community. Established service providers often possess a deeper understanding of common ant species in the area and effective treatment methods, which can contribute to more reliable results. Reviewing the length of time a pro has been operating locally can provide insight into their familiarity with regional pest issues and their ability to address specific homeowner concerns.

Clear communication and well-defined expectations are essential when working with ant extermination specialists. Reputable service providers typically offer detailed information about their treatment approaches, what homeowners can expect during and after the service, and any necessary preparations. Being transparent about the scope of work helps to foster trust and ensures that homeowners are well-informed throughout the process. It is advisable to inquire about how the pros handle follow-up questions or concerns to confirm they prioritize client understanding and satisfaction.

References and reputation are important indicators of a local pros’ reliability. Homeowners are encouraged to seek out service providers with positive references from previous clients in the area. Local reputation can often be verified through community reviews, online ratings, or recommendations from neighbors. Effective communication, combined with a solid reputation and clear written expectations, can help homeowners find a pest control professional who is both trustworthy and capable of delivering quality ant extermination services. The site introduces local options but does not perform the work itself, emphasizing the importance of choosing a reputable and communicative local professional.

Get an Ants Extermination Service Quote

Property owners in Alvarado, TX use Ants Extermination Service services for practical projects around their homes and businesses. The sections below highlight everyday jobs and straightforward project options.

Ants Extermination Service
Ants Extermination Service

Ants extermination services are often sought by property owners in Alvarado, TX, facing recurring ant invasions or unexpected infestations. Common reasons for requesting professional assistance include discovering ant colonies inside homes, kitchens, or around the foundation, which can lead to concerns about cleanliness and property damage. Additionally, residents may seek help when ant problems persist despite using over-the-counter treatments or when they want to prevent future infestations from affecting their living or working spaces.

Property owners may also look for ant extermination services after noticing increased ant activity during warmer months or following nearby construction or landscaping projects that disturb ant nests. In some cases, ants may be seen in large numbers, prompting a desire for a thorough and effective solution to eliminate the pests and reduce the risk of future issues. Connecting with local service providers can help address these everyday project situations efficiently and effectively.

Get an Ants Extermination Service Quote

How do ant extermination services work? Ant extermination services typically involve inspecting the property, identifying ant species and entry points, and applying targeted treatments to eliminate colonies and prevent future infestations.

Are ant treatments safe for pets and children? Many ant extermination methods are designed to minimize risks; however, it is advisable to discuss safety concerns with local service providers before treatment.

How long does an ant extermination treatment last? The duration of effectiveness can vary depending on the treatment method and extent of the infestation; local pros can provide guidance based on the specific situation.

Can ant extermination prevent future infestations? Yes, professional services often include recommendations and treatments aimed at reducing the likelihood of re-infestation.

What should I do before a pest control visit for ants? It is generally recommended to clear the area around ant entry points and inform the service provider of any visible ant activity or specific concerns.

Ants Control Solutions - Local service providers offer targeted treatments to eliminate ant infestations effectively.

Inspection and Identification - Pros can identify ant species and locate nesting sites to determine the most appropriate extermination methods.

Preventive Treatments - Service providers can apply barrier methods to reduce the likelihood of future ant invasions around property perimeters.

Ongoing Monitoring and Maintenance - Experts can establish ongoing plans to monitor ant activity and implement follow-up treatments as needed.

Ants Extermination Service

Considering Ants Extermination Service for a property in Alvarado, TX? The sections above highlight common project types, practical options, and details that often shape the scope of work.

When you are ready, use the quote form to share a few details about your project. Local pros can review the basics and respond with options that match what you have in mind.

Get an Ants Extermination Service Quote

Ants Extermination Quotes

Our Trusted Partners
Cantu Pest Control
Orkin
Hawx Pest Control