Local Service Overview

Get Black Ant Extermination in Arlington, TX

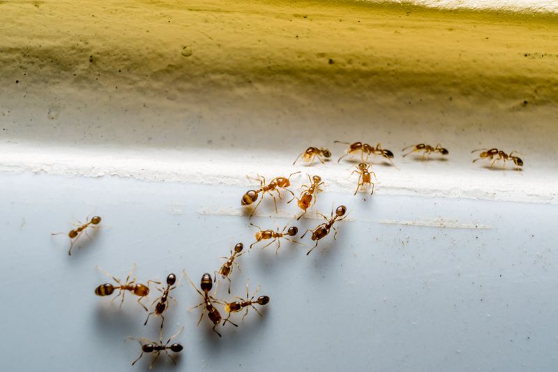
Black Ant Extermination services for Arlington, TX, property owners typically address ant infestations, eliminate nests, and prevent future outbreaks through professional pest control solutions.

Arlington, TX

Black ant extermination services are often sought by property owners in Arlington, TX to address persistent ant infestations that can disrupt daily life and compromise property integrity. Effective extermination helps create a more comfortable living or working environment by reducing unwanted pests, which can otherwise invade kitchens, storage areas, and outdoor spaces. Additionally, professional services contribute to enhanced safety by preventing potential health issues associated with ant colonies, such as contamination of food and surfaces.

Engaging with experienced pest control providers can also improve the durability and functionality of a property by preventing structural damage caused by ant activity. Regular extermination efforts help minimize ongoing maintenance needs and preserve curb appeal by keeping outdoor areas and building exteriors free of unsightly ant mounds and trails. This proactive approach supports a more attractive and well-maintained property, offering peace of mind for Arlington residents and business owners alike.

Get Black Ant Extermination Quotes

  • Ant Extermination - needed when ants invade kitchens, bathrooms, or outdoor spaces in residential or commercial properties.
  • Carpenter Ant Removal - required if wood structures show signs of damage or if ants are nesting within walls or foundations.
  • Fire Ant Control - necessary when fire ant mounds pose a threat to lawns, gardens, or outdoor activities in the area.
  • Odorous House Ant Treatment - sought when sweet-smelling ants become a persistent nuisance inside homes or businesses.
  • Sugar Ant Elimination - appropriate if small, crawling ants are found in pantry areas or near food sources.

Get Black Ant Extermination Quotes

Black Ant Extermination
Black Ant Extermination
Black Ant Extermination

Black ant extermination services are designed to eliminate and control ant infestations that may occur inside or around residential, commercial, and industrial properties. These services typically involve a thorough inspection to identify ant activity and nesting sites, followed by targeted treatments using specialized insecticides. The goal is to reduce or eradicate ant colonies, preventing further invasion and damage. Depending on the severity of the infestation, treatments may include baiting, dusting, or liquid applications to ensure comprehensive coverage and long-lasting results.

Ant problems can cause significant discomfort and inconvenience, especially when they invade kitchens, pantries, or storage areas. Black ants are often attracted to food sources, and their presence can lead to contamination and unsanitary conditions. Beyond the nuisance factor, large colonies can sometimes damage property structures or wiring, leading to costly repairs. Professional extermination services help address these issues by effectively removing existing colonies and implementing preventative measures to reduce the risk of future invasions.

Various types of properties benefit from black ant extermination services. Residential homes are common sites, particularly in kitchens, basements, and exterior foundations where ants tend to forage. Commercial properties such as restaurants, grocery stores, and warehouses also seek pest control to maintain hygiene standards and protect inventory. Additionally, multi-unit buildings, offices, and even industrial facilities may require regular pest management to keep ant populations under control and ensure a pest-free environment.

Local pest control providers typically tailor their black ant extermination services to meet the specific needs of each property type. They use proven treatment methods to target ant colonies at their source, helping property owners and managers maintain a clean and safe environment. By connecting with experienced local professionals, property owners can access effective solutions designed to address ant infestations efficiently and prevent future problems.

The overview below groups typical Black Ant Extermination projects into broad ranges so you can see how smaller, mid-sized, and larger jobs often compare in Arlington, TX.

In many markets, a large share of routine jobs stays in the lower and middle ranges, while only a smaller percentage of projects moves into the highest bands when the work is more complex or site conditions are harder than average.

Initial Black Ant Extermination - The cost for a one-time treatment typically ranges from $150 to $300, depending on the extent of the infestation and property size. Some providers may charge higher for larger or more severe cases.

Ongoing Black Ant Control - Monthly or quarterly service plans can cost between $50 and $100 per visit. These plans often include regular inspections and treatments to prevent future infestations.

Per-Visit Treatment Fees - Single-visit extermination services usually fall within the $100 to $250 range. Prices vary based on the complexity of the job and the level of ant activity.

Additional Service Charges - Extra costs may apply for specialized treatments or inaccessible areas, generally adding $50 to $150 to the overall price. Contact local pros for detailed estimates tailored to specific needs.

Actual totals will depend on details like access to the work area, the scope of the project, and the materials selected, so use these as general starting points rather than exact figures.

Get a Black Ant Extermination Quote

Black Ant Extermination services involve specialized treatments to eliminate black ants from residential and commercial properties. Local professionals can assess infested areas and apply targeted solutions to control and prevent future outbreaks.

Black Ant Extermination projects often include identifying nesting sites and implementing effective barriers to reduce ant activity around structures. Experts tailor approaches to suit the specific needs of each property.

Black Ant Extermination services may involve the use of baiting systems and residual insecticides to ensure long-term control. Service providers focus on safe and efficient application methods.

Black Ant Extermination efforts can be part of integrated pest management plans that include inspection, monitoring, and ongoing maintenance. Local pros help maintain ant-free environments over time.

Black Ant Extermination projects are suitable for both urgent infestations and preventative measures to protect properties from future invasions. Professionals provide customized solutions based on infestation severity.

Black Ant Extermination services are available for various property types, including homes, restaurants, and warehouses. Experienced contractors adapt treatments to meet the specific challenges of each setting.

Black Ant Extermination

When evaluating professionals for black ant extermination services in Arlington, TX, it is important to consider their experience in handling ant infestations. Experienced local providers often have a thorough understanding of ant behaviors and effective treatment methods, which can contribute to more successful eradication. Homeowners should inquire about the duration of the provider’s service history in the area, as well as their familiarity with common ant issues specific to the region.

Clear communication and well-defined written expectations are essential when working with pest control service providers. Reputable professionals typically offer detailed explanations of their treatment approaches, what homeowners can expect during and after the service, and any necessary follow-up procedures. This transparency helps ensure that homeowners are informed and comfortable with the process, reducing misunderstandings and promoting a smoother experience.

References from previous clients and a reputation for trustworthy service are valuable indicators of a reliable pest control provider. Homeowners are encouraged to seek out local pros with positive feedback and a history of reputable work within the community. Open lines of communication, responsiveness to inquiries, and a professional approach can also reflect a provider’s commitment to customer service. Since the information below introduces local options rather than performing the work, it is recommended to contact multiple service providers to compare their experience, communication style, and references before making a decision.

Get a Black Ant Extermination Quote

Property owners in Arlington, TX use Black Ant Extermination services for practical projects around their homes and businesses. The sections below highlight everyday jobs and straightforward project options.

Black Ant Extermination
Black Ant Extermination

Black ant extermination services are often sought by property owners in Arlington, TX, experiencing persistent ant activity around their homes or businesses. Common reasons include the presence of large ant colonies in lawns, gardens, or inside structures, which can lead to nuisance and potential damage. Property owners may look for professional assistance to effectively eliminate these pests and prevent future invasions, especially in areas where ants have become a recurring problem.

Additionally, residents and business owners may seek black ant extermination when noticing signs such as ant trails, mounds, or unexplained entry points. Concerns about maintaining a clean and pest-free environment often prompt the search for local service providers who can assess the situation and implement targeted treatment plans. Reliable extermination services can help restore comfort and protect property from the ongoing inconvenience of ant infestations.

Get a Black Ant Extermination Quote

Why are black ants attracted to my home? Black ants are drawn to food sources, moisture, and shelter, often entering homes in search of these resources.

What are common signs of a black ant infestation? Signs include visible trails of ants, small piles of dirt or debris near entry points, and finding ants in kitchens or bathrooms.

Are black ant extermination methods safe for my family and pets? Many local pest control providers use methods designed to be safe for households; it’s best to consult with a professional about specific treatments.

How long does black ant extermination typically take? The duration varies depending on the extent of the infestation and treatment methods used; a local professional can provide more details during a consultation.

Will black ants return after treatment? Proper treatment can significantly reduce the chance of a return, but ongoing prevention and inspections are recommended to maintain control.

Black Ant Extermination Strategies - Local pest control providers can implement effective methods to eliminate black ants from residential and commercial properties.

Inspection and Identification - Professionals can identify ant entry points and nesting sites to develop targeted treatment plans.

Preventive Measures - Service providers may recommend sealing entry points and removing attractants to reduce future ant invasions.

Ongoing Pest Management - Regular inspections and treatments can help maintain ant-free environments over time.

Black Ant Extermination

Considering Black Ant Extermination for a property in Arlington, TX? The sections above highlight common project types, practical options, and details that often shape the scope of work.

When you are ready, use the quote form to share a few details about your project. Local pros can review the basics and respond with options that match what you have in mind.

Get a Black Ant Extermination Quote

Black Ant Extermination Quotes

Our Trusted Partners
Cantu Pest Control
Orkin
Hawx Pest Control