Local Service Overview

Get Ants Extermination Service in Sunnyvale, TX

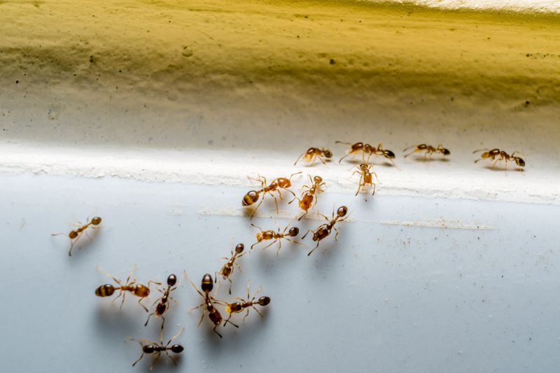
Ants extermination services for property owners in Sunnyvale, TX, address ant infestations, prevent future invasions, and handle residential and commercial projects.

Sunnyvale, TX

Ants extermination services are essential for property owners in Sunnyvale, TX seeking to maintain a comfortable and functional living environment. Effective pest control helps prevent ant infestations that can disrupt daily routines, damage property structures, and compromise hygiene. By addressing these issues promptly, property owners can enjoy a safer, cleaner space that supports their lifestyle and preserves the durability of their homes and businesses.

Choosing professional ant extermination services offers benefits such as reduced ongoing maintenance and enhanced curb appeal. Regular treatments help keep pests at bay, minimizing future concerns and ensuring the property remains inviting and well-maintained. With expert assistance, property owners can achieve a pest-free environment that promotes safety, comfort, and lasting property value.

Get Ants Extermination Service Quotes

  • Ants Extermination Services are essential when homeowners notice persistent ant activity around their property in areas like Sunnyvale, TX.
  • These services are needed for severe ant infestations that threaten household comfort and cleanliness.
  • Ant control solutions are often sought in commercial spaces experiencing ant issues that impact business operations.
  • Residential properties requiring long-term ant management may benefit from professional extermination services.
  • Ants Extermination Services are useful when local ant colonies have expanded into hard-to-reach areas, causing ongoing problems.

Get Ants Extermination Service Quotes

Ants Extermination Service
Ants Extermination Service
Ants Extermination Service

Ants extermination services involve identifying and eliminating ant infestations within residential, commercial, or industrial properties. Professionals typically conduct thorough inspections to determine the extent of the ant problem and locate entry points or nests. Treatment methods may include the application of targeted insecticides, baiting systems, and exclusion techniques to prevent future invasions. The goal is to effectively reduce or eradicate ant populations while minimizing disruption to the property.

These services help resolve common issues caused by ant infestations, such as property damage, contamination of food supplies, and general nuisance. Certain ant species, like carpenter ants, can compromise structural integrity by burrowing into wood, while others, such as odorous house ants or fire ants, can pose health risks or create uncomfortable living conditions. Addressing these problems promptly can prevent further damage and reduce the likelihood of recurring infestations.

Properties that typically utilize ants extermination services include single-family homes, apartment complexes, restaurants, grocery stores, and warehouses. Residential properties often seek assistance to protect food storage areas and maintain a clean living environment. Commercial establishments, especially those involved in food production or handling, require ongoing pest management to meet health and safety standards. Additionally, property managers and business owners in areas prone to ant activity often rely on professional services to manage and prevent infestations.

Partnering with local pest control providers ensures access to tailored solutions that address specific property needs. These professionals employ industry-standard techniques to control and prevent ant populations effectively. Regular inspections and targeted treatments can help maintain a pest-free environment, safeguarding property value and ensuring comfort for residents and occupants alike. Contacting local providers is a practical step toward managing ant problems efficiently.

The overview below groups typical Ants Extermination Service projects into broad ranges so you can see how smaller, mid-sized, and larger jobs often compare in Sunnyvale, TX.

In many markets, a large share of routine jobs stays in the lower and middle ranges, while only a smaller percentage of projects moves into the highest bands when the work is more complex or site conditions are harder than average.

Initial Inspection - The cost for an ant infestation inspection typically ranges from $50 to $150, depending on property size and complexity. This fee often covers the assessment of affected areas and identification of ant species.

Basic Treatment - A standard ant extermination treatment can cost between $100 and $300. Prices vary based on the extent of the infestation and the treatment method used by local service providers.

Extended Service Plans - For ongoing prevention or multiple treatments, costs generally range from $200 to $500. These plans may include follow-up visits and additional application of ant control solutions.

Specialized Solutions - Treatments involving advanced or targeted methods can range from $300 to $700. Such services are typically needed for severe infestations or hard-to-reach nesting sites.

Actual totals will depend on details like access to the work area, the scope of the project, and the materials selected, so use these as general starting points rather than exact figures.

Get an Ants Extermination Service Quote

Ants Extermination services connect homeowners with local pest control providers experienced in identifying and eliminating ant infestations. These professionals use targeted treatments to effectively reduce ant populations in residential and commercial properties.

Ants Inspection services involve local experts assessing properties to determine the extent of ant activity and identify entry points. Proper inspection helps in developing an effective extermination plan.

Ants Prevention services focus on implementing measures to prevent future ant invasions, including sealing entry points and advising on sanitation practices through local service providers.

Ants Baiting services utilize baiting strategies provided by local pest control specialists to attract and eliminate ant colonies efficiently. This method minimizes the use of chemical sprays.

Ants Treatment services involve applying targeted chemical or natural treatments by local pros to eradicate existing ant colonies. Treatments are tailored to the specific type of ants present.

Ants Control services encompass ongoing management plans offered by local providers to monitor and maintain ant-free environments. These services help prevent future infestations effectively.

Ants Extermination Service

When evaluating ant extermination services, experience is an important factor to consider. Local pros in Sunnyvale, TX, often have extensive knowledge of the specific ant species common to the area and understand the most effective treatment methods. It can be helpful to review the backgrounds of different service providers to ensure they have a history of handling similar pest issues successfully. Reputable references or reviews from previous clients can offer insights into the quality of work and reliability of local contractors, assisting homeowners in making informed decisions.

Clear communication and well-defined expectations are essential when selecting an ant extermination service. Pros should be able to provide detailed information about their process, the types of treatments they use, and any preparations needed before service. Homeowners should look for providers who are transparent about their methods and willing to answer questions thoroughly, ensuring there is mutual understanding of the scope of work and outcomes.

The reputation of local pest control providers can often be gauged through references or reviews from other homeowners in the area. Reliable contractors tend to have positive feedback regarding their professionalism, effectiveness, and customer service. Since the site introduces local options rather than performing the work directly, it’s important for homeowners to contact multiple service providers to compare their communication styles, written expectations, and references, helping to identify the best match for their ant extermination needs.

Get an Ants Extermination Service Quote

Property owners in Sunnyvale, TX use Ants Extermination Service services for practical projects around their homes and businesses. The sections below highlight everyday jobs and straightforward project options.

Ants Extermination Service
Ants Extermination Service

Ants extermination services are commonly sought after by property owners in Sunnyvale, TX, who encounter ant infestations in their homes or businesses. These pests can invade kitchens, pantries, and other areas, often leading to concerns about hygiene and property damage. Local service providers offer solutions to identify the source of ant problems and implement treatments to eliminate colonies, helping property owners restore a pest-free environment.

In addition to active infestations, property owners may seek ant extermination services as a preventative measure, especially during warmer months when ants are more active. Proper treatment can help prevent future invasions and protect the integrity of the property. Local pros also provide advice on reducing attractants and maintaining a less inviting environment for ants, supporting ongoing pest management efforts in Sunnyvale, TX.

Get an Ants Extermination Service Quote

How do ant extermination services work? Ant extermination services typically involve inspecting the property to identify ant colonies and entry points, followed by applying targeted treatments to eliminate ants and prevent future infestations.

Are the treatments safe for pets and children? Many ant extermination options are designed to be safe for pets and children when applied by professionals, but it is recommended to discuss safety concerns with the service provider.

How long does an ant extermination treatment last? The duration of effectiveness varies depending on the treatment method and severity of the infestation; a local service provider can provide guidance based on specific situations.

Will I need multiple treatments to control ants? Some ant infestations may require multiple treatments to fully eliminate the colony and prevent recurrence, depending on the extent of the problem.

How can I prevent future ant problems? Preventative measures include maintaining cleanliness, sealing entry points, and consulting with a pest control professional for ongoing advice and treatments.

Ants Extermination Solutions - Local service providers offer targeted treatments to eliminate ant colonies effectively.

Inspection and Identification - Pros can identify ant species and pinpoint their entry points to develop precise extermination strategies.

Preventive Treatments - Experts can recommend and apply measures to reduce the likelihood of future ant infestations.

Ongoing Monitoring - Service providers can set up monitoring systems to detect and address ant activity early.

Ants Extermination Service

Considering Ants Extermination Service for a property in Sunnyvale, TX? The sections above highlight common project types, practical options, and details that often shape the scope of work.

When you are ready, use the quote form to share a few details about your project. Local pros can review the basics and respond with options that match what you have in mind.

Get an Ants Extermination Service Quote

Ants Extermination Quotes

Our Trusted Partners
Cantu Pest Control
Orkin
Hawx Pest Control